Steelhead Pictures 2011-2012
Forum rules
Forum Post Guidelines: This Forum is rated “Family Friendly”. Civil discussions are encouraged and welcomed. Name calling, negative, harassing, or threatening comments will be removed and may result in suspension or IP Ban without notice. Please refer to the Terms of Service and Forum Guidelines post for more information. Thank you
Forum Post Guidelines: This Forum is rated “Family Friendly”. Civil discussions are encouraged and welcomed. Name calling, negative, harassing, or threatening comments will be removed and may result in suspension or IP Ban without notice. Please refer to the Terms of Service and Forum Guidelines post for more information. Thank you
- RiverChromeGS
- Sponsor

- Posts: 2460
- Joined: Mon Dec 27, 2010 9:29 pm
- Location: Bellingham, WA
- Contact:
Re: Steelhead Pictures 2011-2012
Heres the video of the CRAZY buck steelhead, its the longest video on my channel and i had to cut a quarter out so it wasnt too long. Check it out. Sweet jump at beginning and then the last quarter is where the crazy part happpens when I pull him out of the trees and rapids.
- RiverChromeGS
- Sponsor

- Posts: 2460
- Joined: Mon Dec 27, 2010 9:29 pm
- Location: Bellingham, WA
- Contact:
Re: Steelhead Pictures 2011-2012
HEres the MArch Highlight video also
- RiverChromeGS
- Sponsor

- Posts: 2460
- Joined: Mon Dec 27, 2010 9:29 pm
- Location: Bellingham, WA
- Contact:
Re: Steelhead Pictures 2011-2012
Spur of the moment trip ended well for me and kockmandoo, better for him cause i lost some really nice fish and he landed every fish that bit his gear, but still we ended up landed like 10 or 12 steelhead and losing 7. I think kockmandoo was 6 for 6 and i was 5 for 11. Fished mostly the Hoh in a secret area and the sol duc on the way out near forks. some were spawning colors but suprisingly some were either just red striped or chrome for this late. fished only 2 holes on sol duc and nailed 3 fish, and got the rest on the hoh. Lost a chrome 15lber, a dark 15lber and a chrome 18-20 all in a row. MAN I WAS PISSED. too pissed, and no Kockmandoo we dont need a description of how pissed i was. Anyway heres the pics most are of my buddy cause he likes dropping my fish after we land um. haha. I am also in progress of a video! yarn balls work well by the way, use um if u know how to tie um. im gonna make a video on easy way to tie um soon also check it out if u wanna
- Attachments
-
- IMGP0385.JPG (155.79 KiB) Viewed 4879 times
-
- IMGP0384.JPG (157.19 KiB) Viewed 4879 times
-
- IMG_0060.JPG (105.59 KiB) Viewed 4879 times
Last edited by RiverChromeGS on Mon Apr 09, 2012 8:07 pm, edited 1 time in total.
- RiverChromeGS
- Sponsor

- Posts: 2460
- Joined: Mon Dec 27, 2010 9:29 pm
- Location: Bellingham, WA
- Contact:
Re: Steelhead Pictures 2011-2012
more Hoh
- Attachments
-
- Snapshot 1 (4-9-2012 9-02 PM).png (242.6 KiB) Viewed 4879 times
-
- IMG_0063.JPG (147.93 KiB) Viewed 4879 times
-
- IMG_0061.JPG (89.73 KiB) Viewed 4879 times
- RiverChromeGS
- Sponsor

- Posts: 2460
- Joined: Mon Dec 27, 2010 9:29 pm
- Location: Bellingham, WA
- Contact:
Re: Steelhead Pictures 2011-2012
one hoh 2 sol duc
- Attachments
-
- IMG_0056.JPG (112.48 KiB) Viewed 4874 times
-
- IMG_0054.JPG (101.45 KiB) Viewed 4874 times
-
- Snapshot 3 (4-9-2012 9-03 PM).png (250.38 KiB) Viewed 4879 times
- Kockmandoo
- Lieutenant
- Posts: 233
- Joined: Sun Aug 14, 2011 9:01 pm
Re: Steelhead Pictures 2011-2012
words cannot describe haha. my face on the pink worm fish u weren't kidding wow thats priceless. and that last fish is like 15-16lbs for those that wanna know.
- RiverChromeGS
- Sponsor

- Posts: 2460
- Joined: Mon Dec 27, 2010 9:29 pm
- Location: Bellingham, WA
- Contact:
Re: Steelhead Pictures 2011-2012
its tail had a girth of a 5lb steelhead
- RiverChromeGS
- Sponsor

- Posts: 2460
- Joined: Mon Dec 27, 2010 9:29 pm
- Location: Bellingham, WA
- Contact:
Re: Steelhead Pictures 2011-2012
video from forks slaying trip!!
- RiverChromeGS
- Sponsor

- Posts: 2460
- Joined: Mon Dec 27, 2010 9:29 pm
- Location: Bellingham, WA
- Contact:
Re: Steelhead Pictures 2011-2012
I railed a MONSTER vedder river hatchery buck today. weighed 17.7 pounds!! HUGE released a 10lb hen also, and killed this monster. CHeck it out.
- Attachments
-
- IMGP0399.JPG (137.79 KiB) Viewed 4771 times
-
- IMGP0398.JPG (156.74 KiB) Viewed 4771 times
-
- IMGP0394.JPG (162.46 KiB) Viewed 4771 times
- RiverChromeGS
- Sponsor

- Posts: 2460
- Joined: Mon Dec 27, 2010 9:29 pm
- Location: Bellingham, WA
- Contact:
Re: Steelhead Pictures 2011-2012
Video of the Huge hatchery and some other fish
Re: Steelhead Pictures 2011-2012
Man, that is an absolutly beautiful fish. What a monster. F#$%ING AWESOME
- RiverChromeGS
- Sponsor

- Posts: 2460
- Joined: Mon Dec 27, 2010 9:29 pm
- Location: Bellingham, WA
- Contact:
Re: Steelhead Pictures 2011-2012
Thanks Bro!
Re: Steelhead Pictures 2011-2012
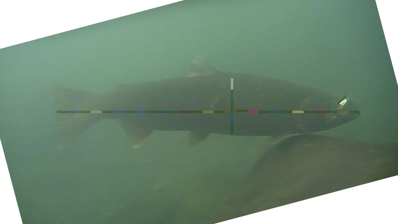
Wild Sol Duc steelhead. 55 inches 19.5 inch girth. My personal best of all time. No out of water photo, used up memory card on video. Calculations say 26.9. Could you imagine what this thing would weight with chrome girth on it? Add an inch of girth and it comes up at 32.
- Attachments
-
- sol duc steelhead 2.jpg (136.68 KiB) Viewed 4558 times
Re: Steelhead Pictures 2011-2012
For perspective on the size of the fish, that is a size 6 Vibrax in it's mouth, which is 2 1/4 inches long.
- RiverChromeGS
- Sponsor

- Posts: 2460
- Joined: Mon Dec 27, 2010 9:29 pm
- Location: Bellingham, WA
- Contact:
Re: Steelhead Pictures 2011-2012
Did you know the world record steelhead was 46 inches??? Did you happen to catch this fish on 4-20 nate???
Re: Steelhead Pictures 2011-2012
Do the math yourself man. The spinner's two inches long, goes down the length of the fish 27 and a half times. two inches times 27.5 is 55. Give and take for photo error, or any sort of distortion, maybe five inches of difference. I knew it was a monster, but I'm not fudging on the dimensions. I don't weigh or measure fish that often, I only wanted to try and figure out the size because it was so huge. I have the spinner on my desk, measured it, and compared it to the photo in photoshop, did the calculations ten times to make sure.
I don't know anything about the length of the record steelhead or anything. If I'm doing it wrong, let me know. I seriously doubted it was that long when I was doing it too. It's the bigest steelhead I've ever caught, I don't care much besides that. Just look at it!
I don't know anything about the length of the record steelhead or anything. If I'm doing it wrong, let me know. I seriously doubted it was that long when I was doing it too. It's the bigest steelhead I've ever caught, I don't care much besides that. Just look at it!
- RiverChromeGS
- Sponsor

- Posts: 2460
- Joined: Mon Dec 27, 2010 9:29 pm
- Location: Bellingham, WA
- Contact:
Re: Steelhead Pictures 2011-2012
Did you actually get measurements with tape or just through spinner vs photo? Cause photo could probably make it look different. Im not denying it was a mid 20 s fish cause ur totally right it looks huge and the sol duc had big fish and i know you dont lie or exxagerate nate but im just thinking it wasnt quite that long cause 55 inches is a crazy long length for a steel. But either way its definetely a monster!!! Im just thinking its not that long cause in the salt with a thick full bodies girth a 55 inch steelhead would be 60+ pounds and that cant happen. Definetely 20+ tho i want one!!! Did the trip produce any more fish?
- Kockmandoo
- Lieutenant
- Posts: 233
- Joined: Sun Aug 14, 2011 9:01 pm
Re: Steelhead Pictures 2011-2012
did you measure it with a ruler or a spinner?
Re: Steelhead Pictures 2011-2012
These are my reference photos. Not trying to pull a fast one on anyone. I can't believe it either. I'm trying to think of ways that the spinner could be warped to be smaller than the fish in perspective, but I don't know. Even if the the image is warped and the scale is off by ten inches, that's still 45 inches, but I don't know. It's a huge fish, and it completely dwarfs that spinner. How big would you say the fish is?
I released the fish. I didn't measure it. I don't carry a ruler, and I don't bonk wild fish. I measured the spinner, and then I used the photo and the size relationships as a reference. Each of the colored bars is the length of the spinner as shown in the picture. there's no long arming to skew proportions, and the fish is perpendicular to the camera. If it's off, it's not by very much at all! That's a huge steelhead! I can't believe it myself, I don't need to catch another fish for a long time after that. I'm still reeling from the experience.
I released the fish. I didn't measure it. I don't carry a ruler, and I don't bonk wild fish. I measured the spinner, and then I used the photo and the size relationships as a reference. Each of the colored bars is the length of the spinner as shown in the picture. there's no long arming to skew proportions, and the fish is perpendicular to the camera. If it's off, it's not by very much at all! That's a huge steelhead! I can't believe it myself, I don't need to catch another fish for a long time after that. I'm still reeling from the experience.
- Attachments
-
- sol duc steelhead 3.jpg (141.15 KiB) Viewed 4532 times
-
- 2012-04-22 16.57.47.jpg (175.91 KiB) Viewed 4532 times
- RiverChromeGS
- Sponsor

- Posts: 2460
- Joined: Mon Dec 27, 2010 9:29 pm
- Location: Bellingham, WA
- Contact:
Re: Steelhead Pictures 2011-2012
Yea I see how ya did it but i just think its not an accurate way to measure it its obviously - big fish in the pics it looks 20 or so pounds to me im not saying its not big im just saying tell people it was 20 instead of saying 55 inches cause i think for whatever reason that way of measuring didnt work cause seriously a 55 inch steel is like not possible it would have been 60 lbs in the salt. People just might not believe u if u say 55 inches. Putting measurements aside how big would u say it was when you held it? Too bad u didnt have camera left i would have love to have seen a pic of that monster native hawg! Sweet he took a spoon too man thats awesome. Definetely biggest of ur life huh?!? I really wanna break 20 ive caught SOOOOO many like 17-19lbs.